Skip to Main Content
Skip to Main Content
Careers
Media
Contact
Weather
Menu
Operations and Trade
Shipping Schedule
Shipping Operations
Trade Development
Hydrographic Solutions
Marine Services
Port Facilities
Access
Security
Apply for an MSIC
Cruise
About the facility
Getting here
The Terminal
Car parking
Cruise ship schedule
Cruise FAQs
Cruise contacts
Accessibility
Contractors and transport operators
Cruise health and safety
Visiting Brisbane and South East Queensland
Property
About Us
Value Drivers
Port Precincts
Property Development
Property Management
Land Use Planning
Water and Sewerage Services
Contact Us
Major Projects
At a Glance
Dedicated Rail Connectivity
PortBris 2060
Channel Enhancement Project
Port Drive Upgrade
Future Port Expansion
Offsite Stormwater
Port of Brisbane’s economic contribution
NCOS Online
Origin Destination Study
Sustainability
Our Commitment
People
Planet
Prosperity
Partnerships
Sustainability Report
About
Who We Are
History
Leaders
Governance
Health and Safety
Careers
PortBris 2060
Careers
Media
Contact
Weather
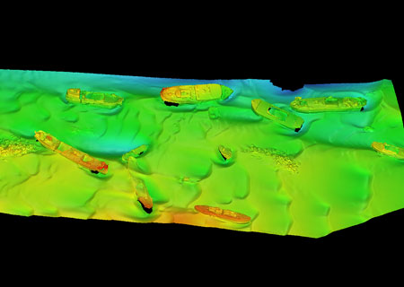
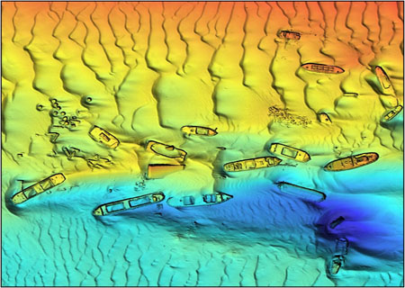
HYDROGRAPHIC SOLUTIONS
Home
Operations and Trade
Hydrographic Solutions
About Us
Capabilities & Services
Technology
Our Fleet
Node: liferay-7d98dc8d8-6n6vj:8080:
Hidden